Your Agent for Life
163 Baillou Hill Road
New Providence
Bahamas
Details
| Address | 1-5Tract A Oceanhill Blvd |
| Area | Grand Bahama/Freeport |
| Sub Area | Bahama Terrace Yacht & Country Club |
| Country | Bahamas |
| Price | BSD 3,130,000 |
| Property Type | Lots/Acreage |
| Bedrooms | 0 |
| Bathrooms | 0 |
| Floor Space | 0 Square Feet |
| Lot Size | 5.46 Acres |
| Parking | Other |
| MLS® # | 65860 |
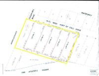
Exceptional Tourist Commercial Beachfront Tract! This is a rare opportunity to acquire the last remaining Tourist Commercial beachfront tract in the Freeport Tax Free Area. Ideally positioned on Port of Call Drive in Bahama Terrace, this expansive over 5 acre parcel offers approximately 600 feet of pristine beachfront frontage along with approximately 338 feet of canal frontage, creating a truly unique dual-waterfront development opportunity. Zoned Tourist Commercial, this property allows for a wide range of development possibilities including resorts, hotels, condominium developments, retail spaces, restaurants, and mixed-use tourism projects. The site is surrounded by established canal-front communities and resort-style developments, making it an ideal location for a high-end destination project. An added benefit is the natural beach accretion, providing over 2 additional acres of usable beachfront land, further enhancing the value and development potential of this offering. Opportunities of this scale, zoning, and location are becoming increasingly rare in Freeport area.
Listing Courtesy of the Bahamas MLS
Share to Facebook
Send using WhatsApp
Post to X
Share to Pintrest